Пока что ученые успели исследовать лишь малую часть Мирового океана, но уже сейчас они могут порадовать нас невероятными находками – удивительными местами, редчайшими животными и другими предметами, обнаруженными в глубинах морей. Изучение подводного мира может рассказать человечеству не только о прошлом Земли, но и пролить свет на ее настоящее, а иногда даже поведать о будущем нашей планеты…
Исследование морей помогает нам по кусочкам собрать общую картину исторического прошлого и порой вдохновить на новые поиски того, что еще скрывается в темных глубинах под толщей воды. Перед вами список из 10 невероятных открытий, сделанных под водой. Что же такого необычного можно там найти? Узнай прямо сейчас!
10. Современное движение тектонических плит
Фото: Alexander Mustard
Северо-Американская и Евразийская тектонические плиты в последние годы все больше отдаляются друг от друга, поскольку первая движется все дальше на запад. Это удивительное явление можно наблюдать не только на суше, но и под водой во время погружений в недра глубинных разломов, находящихся в районе острова Исландия.
Целый ряд подводных фотографов и профессиональных аквалангистов исследовали эту трещину. Одним из самых известных ныряльщиков, восторженных подводными трещинами в районе расхождения двух крупнейших литосферных плит Земли, считается Александр Мустард (Alexander Mustard). Британский морской биолог изучает этот район уже очень давно, и предупреждает туристов, что некоторых из них может начать тошнить прямо во время погружения. Все дело в том, что здесь очень чистая вода, отчего может показаться, что вы не плаваете, а летите над долиной между высокими отвесными стенами из скал.
Мы не можем предсказывать будущее со всей уверенностью, но на основании регулярных наблюдений за движением литосферных плит ученые сделали вывод, что Северо-Американская и Евразийская плиты расходятся в стороны со скоростью примерно 2,5 сантиметров в год.
9. Древний подводный город Павлопетри (Pavlopetri)
Фото: greecebyagreek.com
Этот древний портовый городок был открыт в 1967 году океанографом Ником Флеммингом (Nic Flemming). Поселение времен эпохи неолита было обнаружено в районе южного побережья Греции, и когда-то очень давно оно буквально затонуло в море. Обнаруженная под водой керамика дает основание полагать, что местное население вело торговлю не только в пределах города, но и с заморскими соседями.
Павлопетри, как назвали этот город, на тысячи лет старше всех известных руин поселений, которые когда-либо находили под водой. Возможно, ему около 5000 лет! Площадь городка составляет примерно 100 тысяч квадратных метров, и скорее всего именно его удаленное расположение и сохранило древние артефакты нетронутыми вплоть до самого их обнаружения в 20 веке.
Самой ценной находкой стала керамика Павлопетри, ведь благодаря анализу черепков древней посуды археологам удалось понять, насколько древний город был обнаружен доктором Флеммингом. Удивительное открытие позволило еще больше узнать об образе жизни людей эпохи неолита, обитавших в районе Средиземноморского бассейна.
Сначала исследователи думали, что поселение относилось к бронзовой эре, но дальнейшее изучение артефактов показало, что город на 1000 лет древнее, чем предполагалось прежде. Существует версия, что под водой Павлопетри оказался из-за многочисленных землетрясений, хотя в свои лучшие годы это был крупный и богатый центр со множеством построек и с развитым сельским хозяйством.
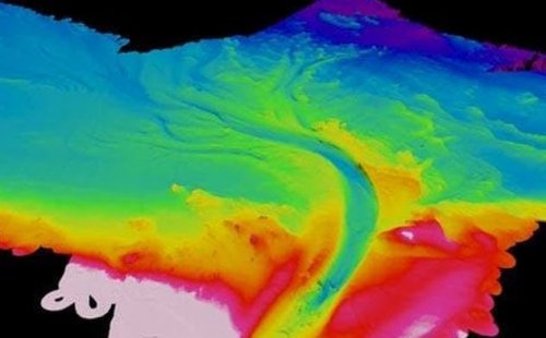
8. Подводная река в Черном море
Фото: University of Leeds
На дне Черного моря существует целая экосистема с быстрыми реками, зелеными берегами и даже водопадами! Реку открыли в 2010 году, глубина ее русла – 35 метров, ширина – 1 километр, а длина – 60 километров.
Но как это вообще возможно, чтобы под толщей морской воды текли еще какие-то отдельные от нее реки? Это звучит странно и практически невероятно, но на самом деле разгадка кроется в солености воды. Вода обнаруженной придонной реки, как оказалось, намного солёнее и плотнее окружающих ее вод Черного моря. Такая соленость позволяет реке течь по морскому дну с повышенной скоростью, создавая на своем пути настоящие подводные берега, пороги, водопады и поймы. Вдобавок по глубоководным каналам этой реки течет большое количество седиментов (осадков), которые также отделяют и утяжеляют невероятное подводное течение.
Река берет свое начало в Черном море, минует Босфор, Мраморное море и в итоге впадает в Атлантический океан, снабжая абиссальные равнины необходимыми питательными веществами. Если все вышесказанное вас пока что не сильно впечатлило, то как насчет еще одного удивительного факта – если бы эта река находилась на суше, то по своей полноводности она была бы шестой в мире!
Обнаружение такой удивительной экосистемы, вносящей немалый вклад в жизнь Атлантического океана, каким мы его знаем, - это настоящий прорыв для современных океанографов. Открытие может помочь исследователям лучше понять, как устроен наш прекрасный мир.
7. Каньон Жемчуг, Берингово море
Фото: messagetoeagle.com
Подводный мир - не менее удивительное и разнообразное место, чем пейзажи суши. Мы уже рассказали вам про затонувший город, океанические разломы и придонную реку, а теперь черед подводного каньона. Он настолько огромный, что целиком его можно рассмотреть разве что из космоса!
Каньон Жемчуг находится в Беринговом море и считается самым большим и глубоким подводным каньоном в мире. Такой титул Жемчуг получил за свой внушительный объем (5 800 кубических метров) и невероятную глубину (2,6 километра). Внутри этой долины с высочайшими склонами может целиком поместиться даже знаменитый американский Гранд-Каньон (Grand Canyon).
По Жемчугу свободно плавают подводные лодки, и здесь обитает множество необыкновенных морских существ. Чтобы оценить все его величие, вам придется отправиться в космос, в противном случае наслаждайтесь фотографиями со спутников.
6. Дорога Бимини-роуд, Багамы (Bimini Road, Bahamas)
Фото: Ancient Origins
Одно из самых популярных мест на Багамских островах – это дорога Бимини-роуд. Этот подводный путь был открыт в 1930-х годах, и его происхождение до сих пор остается загадкой. Некоторые исследователи полагают, что таинственная дорога ведет в легендарный затерянный город – в Атлантиду.
Бимини-роуд находится на глубине всего 6 метров, поэтому она вполне доступна для любопытных туристов, экипированных аквалангом, и готовых на погружение и знакомство с одной из самых загадочных дорог на планете.
Кроме теории о дороге к Атлантиде, существует целый ряд других теорий, посвященных мифическому происхождению этого объекта. Согласно одной из версий к появлению этой тропы причастны древнеегипетские божества, но существует и предположение об абсолютно естественной природе этого места, сформировавшегося якобы без вмешательства человека или какого-либо высшего разума.
Вне зависимости от того, кто же построил Бимини-роуд, эта дорога – отличное место для экскурсионного погружения, если вы вдруг окажетесь на Багамах!
5. «Британская Атлантида», Доггерленд (Doggerland)
Фото: stephenliddell.co.uk
Настоящую Атлантиду все еще ищут, но очень похожее на нее место уже было открыто в глубинах Северного моря. Доггерленд – это огромный массив суши, который ушел под воду примерно 8 500 лет тому назад.
Исследователи считают, что ранее этот участок земли соединял Шотландию с Данией. Когда-то здесь жили настоящие мамонты, древние львы и другие сухопутные животные, но звери не были единственными обитателями Доггерленда. В эпоху мезолита это место населяли и люди, пока «британскую Атлантиду» не затопило морскими водами.
Ученые, совершившие подводное открытие, окрестили Доггерленд центром Европы, поскольку в свои лучшие времена это был довольно крупный участок суши, и здесь предположительно проживало весьма многочисленное сообщество охотников и собирателей (возможно, десятки тысяч человек).
Британская Атлантида доказывает, что острова Великобритании не всегда были столь изолированными от материковой Европы, и существует вероятность того, что раньше люди и звери беспрепятственно мигрировали почти по всей северо-западной части континента, включая и территорию современных Ирландии, Шотландии и Англии.
Вряд ли это и есть та самая Атлантида, но обнаруженный подводный мир все равно представляет собой большую ценность для современных климатологов, археологов и геофизиков.
4. Руины Атлит Ям (Atlit Yam), Средиземное море
Фото: amazingancient.com
Обнаружение древних городов, затонувших в морях несколько тысячелетий тому назад, - это всегда интрига, сенсация и приключение. Руины города Атлит Ям – не исключение.
Это удивительное место скрывалось в водах Средиземноморья неподалеку от побережья Израиля в районе Хайфы на глубине всего 8-12 метров. Город открыли в 1984 году, и предположительно это поселение впервые появилось еще в эпоху неолита. Атлит Ям – крупнейшее затонувшее поселение в истории археологии. Во время его исследования были обнаружены руины домов, колодцев, останки людей и животных (даже насекомых), а также необычные артефакты и загадочные строения, появившиеся на Земле тысячи лет тому назад. Город сохранился невероятно хорошо, и археологи работают здесь сравнительно недавно, так что впереди их наверняка ждет еще множество великих открытий.
Один из самых удивительных объектов этого города – это предположительно ритуальное строение, обустроенное из огромных булыжников, собранных вокруг древнего ручья. Другое любопытное открытие – каменный колодец, который древние обитатели использовали сначала как источник воды, а впоследствии в качестве погребальной ямы, судя по большому числу человеческих останков, обнаруженных на его дне.
В окрестностях городка были найдены части скелетов еще 65 человек, и некоторые из этих костей принадлежали самым древним больным туберкулезом. Ученые также нашли останки диких и одомашненных зверей, и это означает, что жители поселения Атлит Ям занимались и охотой, и животноводством.
3. «Черные курильщики», Северный полярный круг
Фото: Live Science
Когда морская вода вступает в реакцию с магмой, появляются типичные образования, напоминающие по своей форме трубы. Эти гидротермальные источники срединно-океанических хребтов – это геотермальные ручьи с высокоминерализованной горячей водой, температура которой достигает иногда 370 °C или даже больше. Вода не вскипает из-за давления в сотни атмосфер, и в таких условиях она переходит в состояние сверхкритического флюида, во время которого разница между жидкой и газовой фазой попросту отсутствует.
Черными курильщиками эти природные образования назвали из-за мутности и темного цвета взвеси сульфидов металлов, входящих в состав извергаемой из «труб» воды. Вулканические трубы находят по всему Мировому океану, но самые северные источники были найдены совсем недавно – в 2008 году в районе Северного полярного круга между Норвегией и Гренландией.
Здесь ученые обнаружили гидротермальную систему из 5 уникальных столпообразных минеральных башен, самая высокая из которых насчитывает свыше 12 метров. Открытие было совершено абсолютно случайно, и ученые не подозревали, что такой крупный гидротермальный объект может находиться так далеко на севере в районе, где тектонические плиты сдвигаются довольно медленно. Систему назвали «Замком Локи» (Loki’s Castle) в честь башен обители зловещего скандинавского божества.
Черные курильщики наглядно демонстрируют, насколько непредсказуема и великолепна природа подводного мира, который скрывает от нас еще множество загадок. Например, сейчас ученые исследуют Замок Локи на предмет обнаружения новых форм жизни, и они уже успели добиться определенных успехов в этом направлении.
2. Призрачный флот, лагуна Трук (Ghost Fleet, Chuuk Lagoon)
Фото: atlasobscura.com
Обломки кораблей и затонувшие суда – одни из самых интересных и зрелищных объектов для исследователей морских глубин. Эти останки – упокоившиеся свидетели исторических событий, которые могут пролить свет на драмы прошлых веков, рассказать об участниках сражений или просто навеять мысли о вечном.
Лагуна Трук находится в Тихом океане у берегов Каролинских островов к северу от Новой Гвинеи и к востоку от Филиппин. Раньше на этом архипелаге располагалась японская военная база, а теперь на дне лагуны лежат обломки огромного количества японских военных кораблей и самолетов, потерпевших крушение во времена Второй мировой войны.
«Призрачный флот» в 1969 году посетила научная экспедиция знаменитого океанографа Ж.-И. Кусто, и с тех пор это место стало чрезвычайно популярным среди туристов со всего мира. Говорят, что среди обломков кладбища военной техники до сих пор лежат останки погибших солдат. Вода здесь такая чистая, что затонувшие корабли и самолеты видны, даже если смотреть над водой, так что погружаться с аквалангом совсем необязательно.
Обломки императорского флота Японии – это невероятный пример подводного открытия, которое представляет собой не только интригующее зрелище, но и историческую ценность.
1. Великая голубая дыра, Белиз (Belize)
Свое странное и немного жуткое название Великая голубая дыра Белиза заслужила неспроста. Точно так же, как и недаром ее так любят туристы, океанографы и спелеологи, погружающиеся в эти морские глубины уже несколько десятилетий подряд. Эта природная воронка – самая большая в мире подводная пещера!
Известной Великая голубая дыра атолла Лайтхаус-риф стала после того, как в 1971 году знаменитый французский путешественник и ученый Жак-Ив Кусто назвал эту карстовую воронку одним из лучших мест для погружений. Теперь здесь процветает туристический бизнес, и гиды привозят в этот район целые группы дайверов-любителей, желающих заглянуть в недра подводной дыры, сформировавшейся из пещеры во времена ледникового периода тысячи лет тому назад.
Этот удивительный природный объект находится в Карибском море, его диаметр составляет 350 метров, а глубина – 120 метров. Так что пронырнуть до самого дна легендарной подводной полости – большое достижение, доступное только самым опытным и талантливым аквалангистам. Чаще всего туристические погружения охватывают лишь малую часть пещеры, и гиды не заплывают слишком глубоко, чтобы не рисковать жизнями своих клиентов.






